稜果榕
- 8,568 次點閱
分享
分享至
成熟的隱花果去子後可生食,民國40年代,塑膠包裝材料尚未現時,小販商常將其葉供包裝蚵蜊、豆腐或豬肉之用。是適應性極強的樹種,易於栽植,可作為海岸防風林及庭園綠化。
- 別名
- 大冇榕、大冇樹、常綠榕、豬母乳、豬母乳舅、大葉冇、大葉榕、蜊仔葉、樠樹
- 英文名
- Hauil Fig Tree,Angular Fruit Fig
- 學名
- Ficus septica
- 科名
- 桑科
- 屬名
- 榕屬
- 原產地
- 爪哇、琉球及台灣
- 分佈
- 低海拔的地區,以靠近山邊或溪邊
- 類型
- 多年生常綠喬木
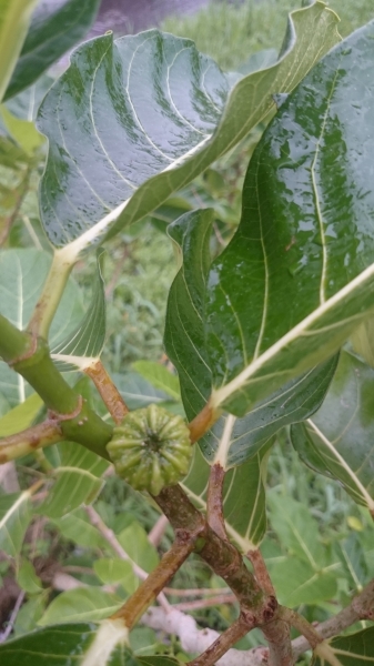
- 莖
- 高可達 15 公尺,徑 30~40 公分,樹幹常呈斜上昇狀,不呈通直狀;樹皮光滑,灰白色,小枝平滑粗肥,帶褐色色澤,有明顯葉痕,汁液乳黃色。
- 葉
- 葉螺旋狀排列,但常叢生於小枝先端,卵形、卵狀長橢圓形至長橢圓形,大型葉長約 15~25 公分,寬 10~15 公分,革質或厚紙質,全緣或略呈波狀緣,表面糙糙而有光澤,背面光滑而顏色較淡,中肋於表面凹下而於背面隆起
- 花
- 隱頭花序為綠色,雄花有柄呈內旋狀花絲短小,雌花有長柄柱頭棒狀,花柱長且側生
- 果實
- 扁球形隱花果,葉腋間生長,外表有白色斑點,於表有稜,成熟時黃綠色